Local Service Overview

Get Red Ant Extermination in Colleyville, TX

Red Ant Extermination services for property owners in Colleyville, TX, and nearby areas address pest infestations, rodent control, and termite treatments through local professionals.

Colleyville, TX

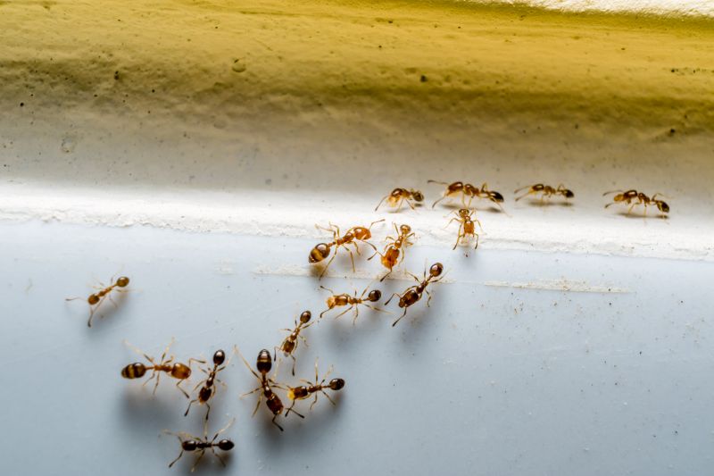
Red ant extermination services are essential for property owners in Colleyville, TX seeking to protect their homes and outdoor spaces from invasive pests. These services help eliminate existing ant colonies and prevent future invasions, reducing the risk of damage to structures and landscaping. By addressing ant issues promptly, property owners can enjoy a more comfortable and pest-free environment, enhancing overall safety and peace of mind.

Engaging professional exterminators ensures that treatments are effective and tailored to the specific needs of each property. Proper pest control can improve curb appeal by maintaining a clean and well-kept exterior, while also reducing ongoing maintenance efforts. The benefits include increased durability of outdoor features, minimized disruptions caused by ant infestations, and a more inviting, safe space for families and visitors.

Get Red Ant Extermination Quotes

  • Red Ant Extermination services are needed when red ants invade homes or commercial properties in Colleyville, TX and surrounding areas.
  • These services are suitable for situations where red ants have established nests outdoors or have entered indoor spaces.
  • Professional exterminators can assist with red ant infestations in residential yards and garden areas nearby.
  • Red ant control may be necessary when ants are seen in large numbers or are causing property damage.
  • Contact local pest control providers for assistance with red ant problems in neighborhoods across the region.

Get Red Ant Extermination Quotes

Red Ant Extermination
Red Ant Extermination
Red Ant Extermination

Red ant extermination services focus on effectively eliminating red ant colonies from residential and commercial properties. These services typically involve detailed inspections to identify the extent of ant activity and locate nest sites. Once the problem areas are determined, local pest control professionals employ targeted treatment methods, which may include the application of insecticides, baiting systems, and barrier treatments designed to reduce or eradicate red ant populations. The goal is to provide a comprehensive solution that addresses both visible ant activity and hidden nests to prevent future infestations.

These services help resolve common issues associated with red ants, such as property damage, nuisance problems, and potential health concerns. Red ants can invade kitchens, gardens, and outdoor spaces, creating unsightly mounds and trails that can be difficult to manage without professional assistance. Their presence can also lead to increased insect activity and discomfort for residents or employees. Extermination services aim to remove these pests efficiently, restoring a clean and safe environment while minimizing the risk of recurring infestations.

Properties that typically utilize red ant extermination services include single-family homes, apartment complexes, commercial buildings, and outdoor recreational areas. Residential properties often seek treatment to protect food storage areas and outdoor living spaces, especially during warmer months when ant activity peaks. Commercial properties, such as restaurants and food service establishments, may require regular pest management to meet health standards and prevent disruptions. Outdoor spaces like parks, playgrounds, and landscaped yards also benefit from targeted treatments to control ant populations and maintain a pest-free environment.

Partnering with local pest control providers ensures tailored solutions for specific property needs. These professionals assess the unique characteristics of each property, considering factors like landscaping, building structure, and surrounding environment. They then implement customized treatment plans aimed at eliminating red ants effectively and reducing the likelihood of future issues. Regular inspections and follow-up treatments may be recommended to maintain a pest-free space, ensuring that properties remain protected from red ant invasions over time.

The overview below groups typical Red Ant Extermination projects into broad ranges so you can see how smaller, mid-sized, and larger jobs often compare in Colleyville, TX.

In many markets, a large share of routine jobs stays in the lower and middle ranges, while only a smaller percentage of projects moves into the highest bands when the work is more complex or site conditions are harder than average.

Initial Inspection - The cost for an inspection of pest activity typically ranges from $100 to $250, depending on the size of the property and extent of the infestation. This fee often covers a thorough assessment by local service providers in Colleyville, TX and nearby areas.

Pest Treatment - Treatment costs generally fall between $150 and $400 per visit, with larger or heavily infested properties tending toward the higher end. Service providers may charge additional fees for multiple treatments or specialized pest control methods.

Follow-Up Visits - Follow-up pest control visits usually cost between $75 and $200, depending on the complexity of the infestation and the number of visits required. These are often recommended to ensure pest issues are fully resolved.

Property Size - The size of the property influences costs, with small homes typically costing $100 to $300 for comprehensive pest extermination services. Larger properties or commercial spaces may see prices exceeding $500 for complete treatment and prevention.

Actual totals will depend on details like access to the work area, the scope of the project, and the materials selected, so use these as general starting points rather than exact figures.

Get a Red Ant Extermination Quote

Ant Extermination - Local pest control providers offer specialized services to eliminate red ants and prevent future infestations in residential and commercial properties.

Carpenter Ant Removal - Service professionals provide targeted treatments to address carpenter ant issues that can compromise wood structures.

Fire Ant Control - Local experts implement control methods to reduce fire ant populations and minimize their impact on outdoor spaces.

Indoor Ant Eradication - Pros use effective techniques to remove red ants from inside homes and businesses, ensuring a pest-free environment.

Outdoor Ant Management - Service providers offer barrier treatments and habitat modifications to control ant activity around properties.

Ant Prevention Consulting - Local specialists advise on strategies to prevent future ant problems and maintain pest-free surroundings.

Red Ant Extermination

When evaluating Red Ant Extermination service providers in Colleyville, TX, experience is a key factor to consider. Homeowners should look for local pros who have a proven track record of handling ant infestations effectively in residential settings. An established history of successful treatments can indicate familiarity with common challenges and effective solutions specific to the area. It’s also helpful to review how long the provider has been operating locally, as longevity can reflect reliability and a commitment to quality service.

Clear communication and well-defined written expectations are essential when working with pest control specialists. Pros should be transparent about their treatment methods, what homeowners can expect during and after the service, and any necessary preparations or follow-up steps. Having these details documented helps ensure that both parties are aligned and that homeowners understand the scope of work, which can contribute to a smoother experience and better results.

Reputable references and positive feedback from past clients can provide valuable insights into a provider’s professionalism and effectiveness. Homeowners are encouraged to inquire about references or seek out reviews to verify the quality of service delivered. Reliable local pros also prioritize open communication, promptly addressing questions or concerns throughout the process. This approach fosters trust and confidence in selecting a service provider for effective Red Ant Extermination.

Get a Red Ant Extermination Quote

Property owners in Colleyville, TX use Red Ant Extermination services for practical projects around their homes and businesses. The sections below highlight everyday jobs and straightforward project options.

Red Ant Extermination
Red Ant Extermination

Red ant extermination services are commonly sought by property owners in Colleyville, TX, when these pests become a nuisance around homes or commercial buildings. Red ants can invade outdoor spaces like lawns, gardens, and patios, and sometimes find their way indoors, causing annoyance and potential property damage. Local service providers can assess the extent of an ant problem and implement targeted treatments to help eliminate these insects effectively.

Homeowners and business owners may also turn to local pros for red ant control when they notice an increase in ant activity or signs of a nest nearby. Factors such as warm weather, food sources, and moisture can attract red ants, prompting property owners to seek professional assistance to prevent larger infestations. Service providers can offer advice on reducing attractants and applying appropriate treatments to maintain a pest-free environment.

Get a Red Ant Extermination Quote

How do pest control professionals eliminate red ants? Local pest control providers typically use targeted treatments such as baiting, dusting, or spraying to remove red ant colonies effectively.

Are red ants dangerous to humans? Red ants can sting and cause allergic reactions in some individuals; professional extermination helps reduce these risks.

How can I identify a red ant infestation? Signs include visible ant trails, mounds of soil, and increased ant activity around your property.

What should I do before a pest control service? It's recommended to clear the area of food, dishes, and children’s toys to ensure effective treatment.

How long does it take to eliminate red ants? The duration varies depending on the extent of the infestation and the treatment method used by local pros.

Red Ant Extermination Services - Local pest control providers offer specialized treatments to eliminate red ants from residential and commercial properties.

Inspection and Identification - Professionals can assess infested areas to identify ant nests and determine the most effective removal methods.

Preventative Solutions - Service providers can recommend and implement measures to reduce the likelihood of future ant invasions.

Ongoing Pest Management - Experts can develop customized plans to monitor and control red ant populations over time.

Red Ant Extermination

Considering Red Ant Extermination for a property in Colleyville, TX? The sections above highlight common project types, practical options, and details that often shape the scope of work.

When you are ready, use the quote form to share a few details about your project. Local pros can review the basics and respond with options that match what you have in mind.

Get a Red Ant Extermination Quote

Red Ant Extermination Quotes

Our Trusted Partners
Cantu Pest Control
Orkin
Hawx Pest Control