Local Service Overview

Get Black Ant Extermination in Colleyville, TX

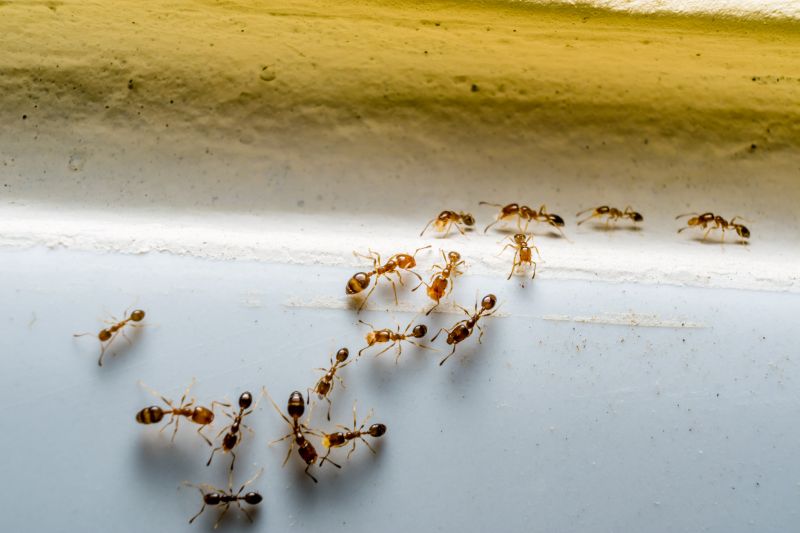
Black Ant Extermination services for property owners in Colleyville, TX, and nearby areas address ant infestations, prevent future invasions, and handle residential and commercial pest control projects.

Colleyville, TX

Black ant extermination services are often sought by property owners in Colleyville, TX to maintain a comfortable and safe living environment. Ant infestations can disrupt daily routines and compromise the overall safety of a home, especially when colonies are located near food sources or entry points. Professional extermination helps to eliminate these pests efficiently, reducing the risk of future invasions and ensuring that the property remains functional and free from unwanted disturbances.

In addition to safety and comfort, many property owners consider black ant extermination to enhance curb appeal and reduce ongoing maintenance. A pest-free exterior not only improves the visual appeal of a property but also decreases the likelihood of structural damage caused by persistent ant activity. Engaging experienced service providers can help ensure that treatments are durable and effective, leading to a more enjoyable and low-maintenance living space.

Get Black Ant Extermination Quotes

  • Ant Extermination - needed when black ants invade kitchens or other indoor spaces in Colleyville, TX and surrounding areas.
  • Outdoor Ant Control - suitable for treating black ant colonies that establish nests in lawns, gardens, or near building foundations.
  • Emergency Ant Services - required when black ant infestations suddenly become overwhelming or difficult to manage.
  • Preventive Ant Treatments - recommended to keep black ants from returning after initial removal in residential or commercial properties.
  • Barrier Treatments - used to create a protective zone around structures to deter black ants from entering in nearby neighborhoods.

Get Black Ant Extermination Quotes

Black Ant Extermination
Black Ant Extermination
Black Ant Extermination

Black ant extermination services focus on eliminating and controlling black ant populations within residential, commercial, and industrial properties. These services typically involve a thorough inspection to identify ant entry points, nests, and trails. Licensed professionals use targeted treatments, such as baiting systems and residual insecticides, to effectively reduce or eradicate black ant infestations. The goal is to address the root of the problem, preventing future invasions and minimizing the risk of black ants entering living or working spaces.

Black ant problems can cause significant inconvenience and property damage, especially when colonies establish themselves indoors or in structural areas. These pests are known to invade kitchens, pantries, and other areas where food is stored, contaminating supplies and creating unsanitary conditions. Additionally, black ants can form large colonies that are difficult to control without professional intervention. Addressing these issues promptly helps maintain a clean, pest-free environment and reduces the likelihood of recurring infestations.

Properties that commonly utilize black ant extermination services include single-family homes, apartment complexes, restaurants, and retail stores. Residential properties often seek pest control to protect food sources and prevent the spread of ants indoors. Commercial establishments, particularly those involved in food handling or preparation, prioritize extermination to comply with health standards and ensure customer safety. Industrial facilities with storage areas or structural cracks may also require ongoing pest management to keep black ant populations under control.

Professional black ant extermination services are tailored to the specific needs of each property type and infestation severity. Local pest control providers utilize a variety of treatment methods designed to target black ants effectively while minimizing disruption to daily activities. Whether dealing with a minor outdoor invasion or a significant indoor colony, contacting a qualified pest management professional can help resolve black ant issues efficiently and prevent future problems.

The overview below groups typical Black Ant Extermination projects into broad ranges so you can see how smaller, mid-sized, and larger jobs often compare in Colleyville, TX.

In many markets, a large share of routine jobs stays in the lower and middle ranges, while only a smaller percentage of projects moves into the highest bands when the work is more complex or site conditions are harder than average.

Initial Inspection and Treatment - The cost for a one-time black ant extermination service typically ranges from $150 to $300, depending on the size of the affected area. Some providers may charge more for extensive infestations or difficult-to-access locations.

Ongoing Maintenance Plans - Monthly or quarterly pest control plans for black ant prevention usually cost between $40 and $70 per visit. These plans often include regular inspections and treatments to keep ants at bay.

Per-Infestation Service - For isolated black ant problems, service costs can vary from $100 to $250 per visit. The price depends on the severity of the infestation and the treatment methods used.

Additional Treatment Options - Integrated pest management or eco-friendly treatments may add $50 to $100 to the standard service costs. Prices vary based on the complexity and scope of the treatment plan.

Actual totals will depend on details like access to the work area, the scope of the project, and the materials selected, so use these as general starting points rather than exact figures.

Get a Black Ant Extermination Quote

Black Ant Extermination services are essential for property owners dealing with infestations in residential and commercial spaces. Local pest control providers offer targeted treatments to eliminate black ant colonies effectively.

Black Ant Removal solutions help prevent damage and contamination caused by ant colonies, with specialists using proven methods to address infestations promptly.

Black Ant Control experts utilize integrated pest management techniques to reduce ant populations and prevent future invasions in homes and businesses.

Black Ant Prevention services focus on identifying entry points and implementing barriers to keep black ants from returning to the property.

Black Ant Inspection services involve thorough assessments to locate nests and determine the extent of an infestation for effective treatment planning.

Black Ant Treatment options are tailored to specific property needs, ensuring safe and efficient removal of black ants by local service providers.

Black Ant Extermination

When selecting a professional for Black Ant Extermination services, it is important to evaluate their experience in handling ant infestations specific to residential properties. Homeowners should consider how long a local contractor has been providing pest control solutions and whether they have a track record of successfully managing ant issues similar to their own. Reputable providers often have a history of serving the community and can offer insights into their expertise through references or examples of past work, helping homeowners make informed decisions.

Clear communication and written expectations are essential when working with pest control professionals. Homeowners should seek providers who offer detailed service descriptions, including the scope of work, methods used, and any preparations needed before treatment. Establishing open and transparent communication channels ensures that homeowners understand what to expect and can address any questions or concerns before the service begins. Reliable providers typically document these expectations in written agreements or service plans, promoting clarity throughout the process.

Reputable local pros can be identified through references or reviews from previous clients in the community. Homeowners may want to inquire about their experiences with the contractor’s professionalism, reliability, and effectiveness in eradicating ant problems. Additionally, good communication practices, such as prompt responses and willingness to answer questions, are indicators of a professional and trustworthy service provider. Since this platform connects users with local options, it is recommended to review multiple providers to compare their experience, communication style, and references to find the best match for Black Ant Extermination needs.

Get a Black Ant Extermination Quote

Property owners in Colleyville, TX use Black Ant Extermination services for practical projects around their homes and businesses. The sections below highlight everyday jobs and straightforward project options.

Black Ant Extermination
Black Ant Extermination

Black ant extermination services are commonly sought after by property owners in Colleyville, TX, facing persistent ant issues around their homes or businesses. These insects can invade kitchens, bathrooms, and outdoor spaces, creating nuisances and potential health concerns. Local service providers can assist with identifying ant colonies, implementing effective removal methods, and preventing future infestations, helping property owners maintain a clean and comfortable environment.

In many cases, property owners turn to local ant extermination specialists when ant problems become difficult to control with DIY methods or when they notice signs of an ongoing infestation. Whether dealing with large colonies or recurring issues, professional exterminators can provide tailored solutions to address specific ant species common in the area. Engaging with experienced local providers can help ensure the problem is managed efficiently and thoroughly.

Get a Black Ant Extermination Quote

How do I know if I have a black ant infestation? Signs of an infestation include visible black ants around your home, especially near food sources, trails, or entry points, and small piles of dirt or debris near foundations.

What methods do extermination professionals use to eliminate black ants? Local service providers typically use targeted treatments such as baits, sprays, or dusts to effectively control black ant populations.

Are black ants dangerous or harmful? Black ants are generally not dangerous to humans, but they can contaminate food and become a nuisance if their numbers grow indoors.

How can I prevent black ants from returning after treatment? Keeping your home clean, sealing entry points, and removing food and water sources can help prevent future infestations.

How soon can I expect results after professional treatment? Results can vary, but many treatments begin to show effectiveness within a few days to a week, depending on the severity of the infestation.

Black Ant Identification - Learn how to recognize signs of black ant infestations to determine if professional help is needed.

Extermination Methods - Local service providers offer various black ant removal techniques tailored to specific property needs.

Preventative Strategies - Discover effective tips from professionals to reduce the likelihood of future black ant problems.

Choosing a Pest Control Provider - Find guidance on selecting experienced local contractors for safe and effective black ant extermination.

Black Ant Extermination

Considering Black Ant Extermination for a property in Colleyville, TX? The sections above highlight common project types, practical options, and details that often shape the scope of work.

When you are ready, use the quote form to share a few details about your project. Local pros can review the basics and respond with options that match what you have in mind.

Get a Black Ant Extermination Quote

Black Ant Extermination Quotes

Our Trusted Partners
Cantu Pest Control
Orkin
Hawx Pest Control