Local Service Overview

Get Red Ant Extermination in Carrollton, TX

Red Ant Extermination services for Carrollton, TX, and nearby areas address pest infestations, rodent control, and other property intrusion problems through local professional contractors.

Carrollton, TX

Red ant extermination services are essential for property owners in Carrollton, TX seeking to maintain a safe and comfortable living environment. Ant infestations can cause discomfort, damage to structures, and potential health concerns, making professional pest control a practical solution. By addressing ant problems promptly, property owners can enjoy a more functional and enjoyable space, free from the nuisance and disruption caused by these pests.

Choosing expert extermination services offers several benefits, including enhanced durability of the property’s structure and reduced ongoing maintenance needs. Effective ant control can improve curb appeal by preventing unsightly nests and damage, helping properties look well-maintained. Additionally, professional services provide peace of mind, ensuring that ant issues are managed efficiently and thoroughly, supporting a safe and inviting home or business environment.

Get Red Ant Extermination Quotes

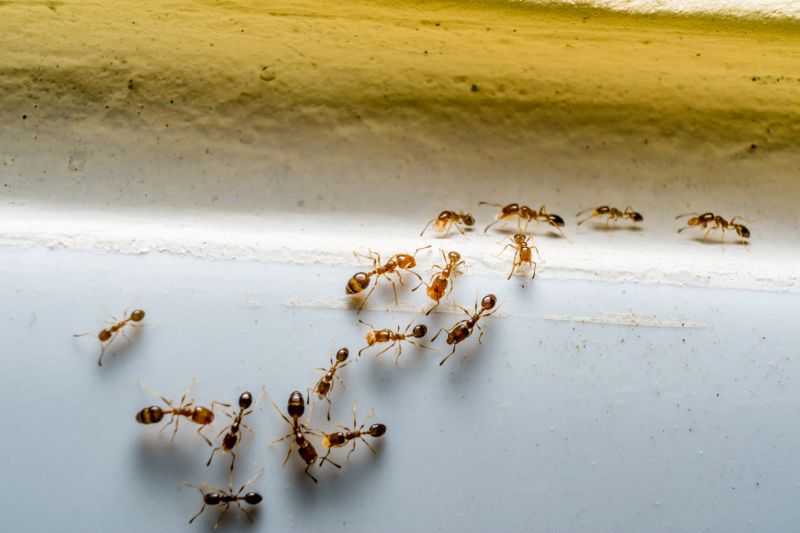
  • Red Ant Extermination services are needed when red ants invade residential or commercial properties in Carrollton, TX and surrounding areas.
  • Red Ant Extermination is appropriate for addressing infestations that threaten gardens, lawns, or outdoor living spaces.
  • Red Ant Extermination may be required if red ants are nesting indoors or around building foundations in nearby communities.
  • Red Ant Extermination services are sought when red ants become a nuisance in food preparation or storage areas.
  • Red Ant Extermination can help eliminate colonies that pose a risk to children or pets in local neighborhoods.

Get Red Ant Extermination Quotes

Red Ant Extermination
Red Ant Extermination
Red Ant Extermination

Red ant extermination services focus on removing invasive red ants from residential and commercial properties. These services typically involve identifying ant colonies, applying targeted treatments, and implementing ongoing strategies to prevent re-infestation. Local service providers use specialized products and techniques to eliminate red ants effectively, ensuring that the pests are eradicated from indoor and outdoor areas. The goal is to create a pest-free environment by addressing the entire colony, including the queen, which is essential for long-term control.

Red ants can cause significant problems for property owners, including damage to lawns, plants, and structures, as well as creating nuisance and health concerns. Their aggressive nature and large colonies can quickly become overwhelming if not addressed promptly. Red ant extermination services help resolve these issues by controlling existing populations and reducing the likelihood of future outbreaks. Proper treatment not only removes the visible ants but also targets the nests and reproductive queens to prevent further colonization.

Various types of properties utilize red ant extermination services, including single-family homes, apartment complexes, and commercial buildings. Residential properties are often affected by red ants in gardens, lawns, and around foundations, especially during warmer months. Commercial properties, such as restaurants, office buildings, and warehouses, may seek extermination to maintain hygiene standards and prevent pest-related disruptions. Additionally, property managers and landlords frequently contact local pros to manage infestations on multiple units or large-scale properties.

Professional red ant extermination services are essential for effectively managing infestations that can quickly escalate if left untreated. Local pest control providers tailor their approaches based on the property type and extent of the infestation, ensuring a thorough and targeted solution. Property owners interested in addressing red ant problems can contact local service providers to discuss treatment options and develop a plan suited to their specific needs.

The overview below groups typical Red Ant Extermination projects into broad ranges so you can see how smaller, mid-sized, and larger jobs often compare in Carrollton, TX.

In many markets, a large share of routine jobs stays in the lower and middle ranges, while only a smaller percentage of projects moves into the highest bands when the work is more complex or site conditions are harder than average.

Initial Inspection - The cost for a comprehensive inspection of infested areas typically ranges from $100 to $250. This fee covers identifying the extent of the problem and planning treatment options with local service providers.

Pest Treatment - Red Ant extermination services often cost between $200 and $500 for standard treatments. Prices vary based on the size of the area and severity of the infestation.

Follow-Up Services - Follow-up visits to ensure complete eradication usually range from $100 to $300 per session. Multiple visits may be recommended depending on the situation.

Specialized Treatments - For complex or severe infestations, specialized treatments can range from $500 to $1,000 or more. These treatments often involve advanced methods and equipment by local professionals.

Actual totals will depend on details like access to the work area, the scope of the project, and the materials selected, so use these as general starting points rather than exact figures.

Get a Red Ant Extermination Quote

Ant Extermination - Local pest control providers offer specialized treatments to eliminate red ants from residential and commercial properties in Carrollton, TX and nearby areas.

Carpenter Ant Control - Service providers focus on identifying and removing carpenter ants that can cause structural damage, ensuring property integrity.

Fire Ant Removal - Local pros implement targeted solutions to control fire ant colonies and reduce their nuisance and potential health risks.

Black Ant Extermination - Experts use effective methods to eradicate black ants and prevent future infestations in homes and businesses.

Pharaoh Ant Control - Service providers address infestations of Pharaoh ants, which can be challenging to eliminate and require specialized approaches.

Odorous House Ant Removal - Local pest control companies provide treatments to eliminate odorous house ants and improve indoor comfort.

Red Ant Extermination

When evaluating Red Ant Extermination service providers, it is important to consider their experience in handling ant infestations. Homeowners should look for local pros who have a proven track record within the community, with a history of successfully managing similar pest issues. Gathering information about their background and the types of properties they’ve serviced can provide insight into their familiarity with local conditions and challenges. This can help ensure that the chosen provider has the practical knowledge needed to address specific ant problems effectively.

Clear communication and written expectations are essential when working with pest control professionals. Homeowners should seek providers who offer detailed explanations of their services, including treatment methods, potential outcomes, and any necessary follow-up. Having these expectations documented in writing helps establish transparency and ensures that both parties are aligned on the scope of work. This level of clarity can contribute to a smoother service experience and help prevent misunderstandings.

Reputable references and reviews are valuable resources when comparing local ant extermination specialists. Pros with established credibility often have a history of satisfied clients and positive feedback within the community. Homeowners can ask for references or look for reviews that highlight the provider’s professionalism, reliability, and quality of work. Good communication practices, responsiveness, and professionalism are also indicators of a trustworthy service provider, making it easier to select a local expert who meets specific needs and standards.

Get a Red Ant Extermination Quote

Property owners in Carrollton, TX use Red Ant Extermination services for practical projects around their homes and businesses. The sections below highlight everyday jobs and straightforward project options.

Red Ant Extermination
Red Ant Extermination

Red ant extermination services are often sought by property owners in Carrollton, TX when these pests become a nuisance around homes and businesses. Common situations include discovering ant trails near the foundation, noticing ant activity inside the structure, or finding nests in lawns, gardens, or mulch beds. Property owners may look for professional assistance to effectively eliminate the colony and prevent future invasions, especially when DIY methods prove ineffective or temporary.

In addition, residents and business owners might seek red ant removal services to address infestations that threaten the comfort and safety of their spaces. Red ants can pose challenges such as bites or stings, which are concerns for families, employees, or customers. Engaging local pest control professionals can help manage and control the problem, ensuring that properties remain safe and comfortable for everyone.

Get a Red Ant Extermination Quote

How do pest control pros eliminate red ants? Local pest control providers typically use targeted treatments such as baits, insecticidal dusts, or sprays to effectively remove red ant colonies from residential or commercial properties.

Are red ant treatments safe for pets and children? Professionals often select treatment options with safety considerations in mind, advising on appropriate measures to minimize risks to pets and children during and after application.

How can I prevent red ant infestations? Pest control experts recommend practices like sealing entry points, removing food sources, and maintaining cleanliness to help prevent future red ant problems.

What should I do if I see red ants around my property? Contact local pest control providers for an inspection and tailored treatment plan to address the infestation effectively.

How long does it take to eliminate a red ant colony? The duration varies depending on the size of the colony and the treatment method used; a professional can provide guidance based on the specific situation.

Red Ant Extermination Solutions - Local pest control providers offer specialized services to effectively eliminate red ants from residential and commercial properties.

Inspection and Identification - Professionals can assess infested areas to identify ant colonies and determine the most appropriate treatment methods.

Targeted Treatment Options - Service providers utilize a variety of treatment techniques to control and prevent red ant infestations.

Preventative Strategies - Experts can advise on measures to reduce the likelihood of future red ant problems around the property.

Red Ant Extermination

Considering Red Ant Extermination for a property in Carrollton, TX? The sections above highlight common project types, practical options, and details that often shape the scope of work.

When you are ready, use the quote form to share a few details about your project. Local pros can review the basics and respond with options that match what you have in mind.

Get a Red Ant Extermination Quote

Red Ant Extermination Quotes

Our Trusted Partners
Cantu Pest Control
Orkin
Hawx Pest Control