Local Service Overview

Get Black Ant Extermination in Crowley, TX

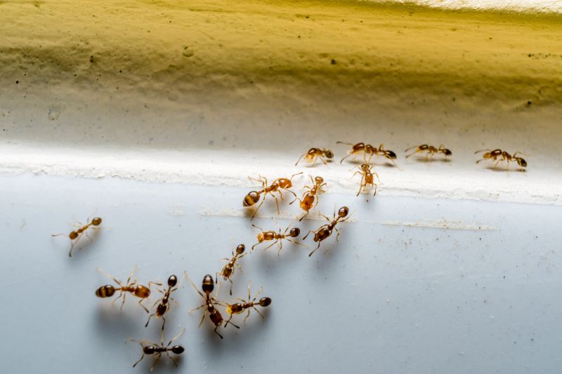
Black Ant Extermination services for property owners in Crowley, TX, address ant infestations, prevent damage, and eliminate nests through targeted pest control solutions.

Crowley, TX

Black ant extermination services are a practical solution for property owners in Crowley, TX seeking to maintain a comfortable and safe environment. These services help prevent ant infestations that can disrupt daily routines, damage structures, or contaminate food supplies. By addressing ant problems promptly, property owners can enjoy a more functional living or working space, free from the nuisance and potential health concerns associated with these pests.

Engaging professional extermination services offers benefits such as enhanced durability of pest control efforts and reduced ongoing maintenance. When ants are effectively managed, properties often experience improved curb appeal, as infestations and pest-related damage are minimized. This proactive approach not only contributes to safety and comfort but also helps preserve the property's overall condition over time.

Get Black Ant Extermination Quotes

  • Black ant extermination services are needed when ants invade homes or commercial properties in search of food and shelter.
  • Professional pest control providers can assist with ant infestations in residential neighborhoods around Crowley, TX and nearby areas.
  • Services are useful when ants persist despite basic cleaning or DIY efforts to eliminate them.
  • Ant extermination may be necessary in new construction or remodeling projects where ants are attracted to moisture or debris.
  • Local pros can help manage ant problems in outdoor spaces like gardens, lawns, and patios in the surrounding communities.

Get Black Ant Extermination Quotes

Black Ant Extermination
Black Ant Extermination
Black Ant Extermination

Black ant extermination services focus on effectively eliminating black ants from residential and commercial properties. These services typically involve thorough inspections to identify ant colonies and entry points, followed by targeted treatment methods to eradicate the pests. Treatment options may include the application of insecticides, baiting systems, and barrier treatments designed to prevent future invasions. The goal is to reduce or eliminate black ant populations, minimizing the nuisance and potential property damage caused by these insects.

Black ants can be persistent pests, often forming extensive colonies that can be difficult to control without professional intervention. They are known to invade kitchens, pantries, and other areas where food is stored or prepared. Their presence can lead to contamination of food supplies and create unsanitary conditions. Extermination services help address these issues by not only removing visible ants but also targeting hidden nests and pathways, helping to restore a clean and pest-free environment.

Various types of properties utilize black ant extermination services, including single-family homes, apartment complexes, restaurants, and retail stores. Residential properties are often affected when ants find access points around foundations, doorways, or utility lines. Commercial establishments, especially those involved in food handling or preparation, seek professional pest control to maintain hygiene standards and comply with health regulations. In all cases, local pest control providers tailor their approach to the specific property type and infestation severity.

Professional black ant extermination services can offer long-term solutions by implementing integrated pest management strategies. These may involve ongoing monitoring, exclusion techniques to block entry points, and the strategic placement of bait stations to eliminate colonies at their source. Engaging with experienced local providers helps property owners and managers effectively manage ant problems, preventing recurring infestations and maintaining a pest-free environment.

The overview below groups typical Black Ant Extermination projects into broad ranges so you can see how smaller, mid-sized, and larger jobs often compare in Crowley, TX.

In many markets, a large share of routine jobs stays in the lower and middle ranges, while only a smaller percentage of projects moves into the highest bands when the work is more complex or site conditions are harder than average.

Initial Inspection - The cost for a professional inspection of a black ant infestation typically ranges from $100 to $200. This fee covers assessing the extent of the problem and identifying entry points. Prices may vary based on property size and location.

Basic Treatment - A standard black ant extermination service usually costs between $150 and $300. This includes applying targeted treatments to eliminate colonies and prevent future activity. The total may increase with larger or more severe infestations.

Extended Service Plans - Comprehensive treatment plans, including multiple visits and ongoing monitoring, can range from $300 to $600. These plans aim to ensure long-term control and may involve additional treatment methods.

Additional Charges - Extra costs may apply for services such as interior treatments, inaccessible areas, or repeat visits. These can add $50 to $200 depending on the complexity of the job and the service provider's policies.

Actual totals will depend on details like access to the work area, the scope of the project, and the materials selected, so use these as general starting points rather than exact figures.

Get a Black Ant Extermination Quote

Ant Extermination - Local pest control providers offer targeted treatments to eliminate black ants and prevent future infestations in residential and commercial properties.

Ant Infestation Inspection - Pros conduct thorough inspections to identify ant activity sources and recommend effective removal strategies for homes in Crowley, TX, and nearby areas.

Barrier Treatments for Ants - Service providers apply barrier sprays around structures to create a protective zone that deters black ants from entering indoor spaces.

Ant Nest Removal - Local specialists locate and eliminate ant nests outdoors or indoors, reducing the likelihood of recurring infestations.

Preventive Ant Control - Experts advise on and implement measures to minimize attractants, such as food and moisture sources, that draw black ants into properties.

Ant Control for Commercial Spaces - Commercial pest management services address ant problems in business environments, ensuring minimal disruption and effective eradication.

Black Ant Extermination

When selecting a professional for Black Ant Extermination services, it is important to consider the experience and background of local contractors. Homeowners should inquire about how long a service provider has been operating in the Crowley, TX area and their familiarity with local ant species and infestation patterns. An experienced pro can often demonstrate a history of successful treatments and a solid understanding of effective extermination techniques, which can contribute to more reliable results.

Clear communication and well-defined expectations are key factors when working with a pest control provider. Homeowners are encouraged to review how service providers outline their treatment plans, including the methods used, the scope of work, and any follow-up procedures. Reputable professionals tend to be transparent about their processes and are willing to address questions or concerns, ensuring that homeowners have a clear understanding of what to expect from the service.

Reputable references and reviews from previous clients can help gauge the reliability and quality of a local pest control provider. Homeowners should seek out service providers with positive feedback from residents in Crowley and nearby communities, which can serve as indicators of consistent service standards. Additionally, effective communication-whether through prompt responses, clarity in explanations, or professional demeanor-can significantly impact the overall experience and satisfaction with Black Ant Extermination services.

Get a Black Ant Extermination Quote

Property owners in Crowley, TX use Black Ant Extermination services for practical projects around their homes and businesses. The sections below highlight everyday jobs and straightforward project options.

Black Ant Extermination
Black Ant Extermination

Black ant extermination services are commonly sought after by property owners in Crowley, TX who notice persistent ant activity around their homes or businesses. These insects can invade kitchens, bathrooms, and other areas, creating nuisances and potential sanitation concerns. Local service providers can assist with identifying the source of ant infestations and implementing targeted treatments to help restore comfort and cleanliness to residential and commercial spaces.

Property owners in Crowley might also look for ant extermination when preparing for events or seasonal changes that tend to drive ants indoors. Additionally, those experiencing recurring ant problems despite previous efforts may seek professional assistance to achieve more effective and lasting results. Connecting with local pest control experts can provide solutions tailored to the specific needs of properties in the area.

Get a Black Ant Extermination Quote

Why are black ants attracted to my home? Black ants are drawn to food sources, moisture, and shelter around the home, especially in warm or humid conditions.

How can I prevent black ant infestations? Keeping your property clean, sealing entry points, and eliminating food and water sources can help reduce the likelihood of black ant problems.

What methods do pest control professionals use to eliminate black ants? Local service providers typically use targeted treatments, including baits and residual insecticides, to effectively control black ant populations.

Are black ants dangerous to my household? Black ants are generally not harmful to humans but can contaminate food and become a nuisance if they invade indoor spaces.

How often should I have black ant treatments performed? The frequency of treatments depends on the severity of the infestation and the advice of local pest control experts. Contact a professional for tailored recommendations.

Black Ant Extermination Strategies - Local pest control professionals can evaluate infested areas and recommend targeted treatment methods to eliminate black ants effectively.

Integrated Pest Management Options - Service providers may implement integrated approaches combining baiting, trapping, and environmental modifications to control black ant populations.

Preventative Measures - Experts can advise on sealing entry points and removing attractants to reduce the likelihood of future black ant invasions.

Ongoing Monitoring and Maintenance - Local pros often offer follow-up services to monitor ant activity and ensure long-term control solutions.

Black Ant Extermination

Considering Black Ant Extermination for a property in Crowley, TX? The sections above highlight common project types, practical options, and details that often shape the scope of work.

When you are ready, use the quote form to share a few details about your project. Local pros can review the basics and respond with options that match what you have in mind.

Get a Black Ant Extermination Quote

Black Ant Extermination Quotes

Our Trusted Partners
Cantu Pest Control
Orkin
Hawx Pest Control