Local Service Overview

Get Black Ant Extermination in Addison, TX

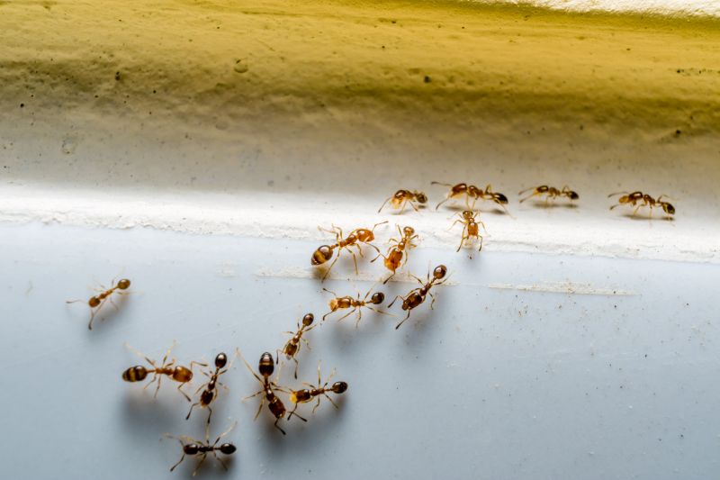
Black Ant Extermination services for Addison, TX, and nearby areas address ant infestations, prevent future invasions, and treat affected structures through professional pest control solutions.

Addison, TX

Black ant extermination services are a practical solution for property owners in Addison, TX seeking to maintain a comfortable and safe living environment. Ant infestations can disrupt daily routines, damage structures, and create unsanitary conditions, making professional removal essential for peace of mind. Local service providers focus on effective treatment options that help reduce pest activity quickly, allowing residents to enjoy their homes without the nuisance or concern of ongoing ant problems.

Choosing professional extermination also offers benefits related to the durability and appearance of a property. Proper ant control can help minimize future infestations, reducing the need for frequent treatments and ongoing maintenance. This not only preserves the functionality of outdoor and indoor spaces but also enhances curb appeal, contributing to a well-maintained and inviting home environment. Contacting experienced local pros ensures tailored solutions that address specific pest challenges effectively.

Get Black Ant Extermination Quotes

  • Ant Extermination - needed when ants invade kitchens, pantries, or outdoor areas around Addison, TX.
  • Carpenter Ant Control - required if wood structures or furniture show signs of ant activity in nearby neighborhoods.
  • Fire Ant Treatment - necessary for lawns and outdoor spaces in communities close to Dallas, TX with visible fire ant mounds.
  • Odorous House Ant Removal - sought when these ants appear indoors, especially in bathrooms and kitchens in the local area.
  • Pharaoh Ant Control - advised if these small ants infest hospitals, offices, or residential buildings in the region.

Get Black Ant Extermination Quotes

Black Ant Extermination
Black Ant Extermination
Black Ant Extermination

Black ant extermination services focus on identifying and eliminating ant colonies that invade residential and commercial properties. These services typically involve thorough inspections to locate nests and pathways, followed by targeted treatments using specialized insecticides. The goal is to reduce or eradicate ant populations to prevent ongoing infestations and minimize the risk of ant-related issues within the property. Professionals may employ a combination of baiting, dusting, and residual sprays to ensure comprehensive coverage and long-lasting results.

Ant infestations can cause various problems, including property damage, contamination of food supplies, and general nuisance. Certain species, such as carpenter ants, are known to damage wood structures, leading to costly repairs if left untreated. Additionally, ants can be a source of frustration and discomfort for residents or employees, especially when they invade kitchens, pantries, or dining areas. Effective extermination services help address these issues by removing the source of the infestation and implementing preventative measures to reduce the likelihood of future problems.

Properties that commonly utilize black ant extermination services include single-family homes, apartment complexes, restaurants, and retail stores. Residential properties often seek treatment to protect food storage areas and maintain a clean living environment. Commercial establishments, particularly food service providers, prioritize pest control to meet health and safety standards and avoid potential business disruptions. Additionally, warehouses and storage facilities may require regular inspections and treatments to prevent large-scale infestations that could compromise stored goods.

Professional pest control providers use a variety of methods tailored to the specific needs of each property type. In addition to chemical treatments, some may recommend integrated pest management strategies that include sanitation advice and structural modifications to reduce ant entry points. These services aim to provide a comprehensive approach to ant control, helping property owners and managers maintain pest-free environments. Contacting local pros ensures that tailored solutions are delivered efficiently and effectively to address ant problems.

The overview below groups typical Black Ant Extermination projects into broad ranges so you can see how smaller, mid-sized, and larger jobs often compare in Addison, TX.

In many markets, a large share of routine jobs stays in the lower and middle ranges, while only a smaller percentage of projects moves into the highest bands when the work is more complex or site conditions are harder than average.

Initial Black Ant Extermination - The cost for a one-time treatment typically ranges from $150 to $300, depending on the size of the infested area. Larger properties or severe infestations may cost more, sometimes reaching $400 or higher.

Ongoing Black Ant Control - Monthly or quarterly service plans generally cost between $50 and $100 per visit. These plans are suitable for maintaining control over persistent ant populations in residential settings.

Per-Visit Service Fees - Single-visit extermination services usually fall within the $100 to $250 range. Prices vary based on property size and the extent of the ant problem.

Additional Treatment Costs - Extra services such as baiting or follow-up treatments can add $50 to $150 per session. These costs depend on the specific methods used and the level of infestation.

Actual totals will depend on details like access to the work area, the scope of the project, and the materials selected, so use these as general starting points rather than exact figures.

Get a Black Ant Extermination Quote

Black Ant Extermination services are essential for property owners experiencing infestations that can damage structures and compromise hygiene. Local pest control providers offer targeted treatments to eliminate black ants and prevent future invasions.

Residential Black Ant Extermination solutions help homeowners address ant problems within homes and yards, ensuring a safe and pest-free living environment. Local pros can tailor treatments to specific property needs.

Commercial Black Ant Control services assist business owners in maintaining pest-free workplaces, complying with health standards, and protecting their reputation. Local specialists provide effective and discreet extermination options.

Eco-Friendly Black Ant Treatments are available from local providers who utilize environmentally conscious methods to control ant populations without harmful chemicals. These options are suitable for sensitive environments.

Preventative Black Ant Services focus on identifying and addressing potential entry points to reduce the likelihood of future infestations. Local pest control experts can assess properties and recommend proactive measures.

Emergency Black Ant Extermination services are available for urgent infestations that require immediate attention to minimize property damage and health risks. Local pros respond promptly to urgent requests.

Black Ant Extermination

When selecting a professional for black ant extermination, it’s important to consider the experience and expertise of local service providers. Homeowners should look for contractors who have a proven track record in pest control, particularly with ant removal. While the site introduces various local options, it does not perform the work itself. Instead, it connects residents with reputable pros who have established their presence in the community and demonstrate familiarity with the unique pest challenges in areas like Addison, TX and nearby communities.

Clear communication and well-defined expectations are key when working with pest control providers. Reputable local pros typically provide detailed information about their services, including the methods they use and the scope of work involved. Homeowners are encouraged to review written descriptions of what to expect from the extermination process, ensuring there is a mutual understanding before any work begins. This transparency helps foster trust and allows residents to make informed decisions when choosing a service provider.

References and reputation are vital factors to consider when comparing local ant extermination specialists. Homeowners should seek out providers with reputable references or reviews from previous clients in the area. These insights can offer a clearer picture of the quality of service, professionalism, and reliability of local pros. Since the site functions solely as a connector, it’s recommended to verify the credentials and reputation of selected providers directly, ensuring they meet the specific needs for effective black ant removal in the local community.

Get a Black Ant Extermination Quote

Property owners in Addison, TX use Black Ant Extermination services for practical projects around their homes and businesses. The sections below highlight everyday jobs and straightforward project options.

Black Ant Extermination
Black Ant Extermination

Black ant extermination services are often sought by property owners in Addison, TX when they notice persistent ant activity around their homes or businesses. Common situations include finding trails of ants inside living spaces, spotting them near entry points, or noticing ant mounds in yards and landscaping. Addressing these issues promptly can help prevent larger infestations that may cause damage to property or create unsanitary conditions.

Many property owners look for professional extermination services to eliminate black ant populations that have become difficult to manage with DIY methods. They may want to protect their homes from potential structural damage or avoid the inconvenience of ongoing ant problems. Local service providers can offer targeted solutions to help control and prevent future ant activity, maintaining a clean and comfortable environment.

Get a Black Ant Extermination Quote

Why are black ants attracted to my home? Black ants are drawn to food sources, water, and shelter around homes, especially in warm or moist environments.

How can I tell if I have a black ant infestation? Signs include visible ant trails, large groups of ants indoors or outdoors, and damage to food or structures caused by their activity.

What extermination methods do local pros use for black ants? Professionals typically use targeted baits, insecticidal treatments, and barrier methods to eliminate black ant colonies effectively.

Are black ants dangerous to humans or pets? Black ants are generally not harmful, but their presence can lead to contamination of food and surfaces; some may bite if provoked.

How can I prevent black ants from returning? Keeping food sealed, eliminating moisture sources, and maintaining clean surroundings can help reduce the likelihood of future infestations.

Black Ant Extermination Solutions - Local service providers offer targeted treatments to eliminate black ants from residential and commercial properties.

Inspection and Identification - Pros can assess infested areas to identify ant entry points and nesting sites for effective removal strategies.

Preventive Treatments - Experts recommend ongoing barriers and sealing techniques to reduce future ant invasions.

Customized Pest Control Plans - Service providers develop tailored approaches based on the extent of ant activity and property layout.

Black Ant Extermination

Considering Black Ant Extermination for a property in Addison, TX? The sections above highlight common project types, practical options, and details that often shape the scope of work.

When you are ready, use the quote form to share a few details about your project. Local pros can review the basics and respond with options that match what you have in mind.

Get a Black Ant Extermination Quote

Black Ant Extermination Quotes

Our Trusted Partners
Cantu Pest Control
Orkin
Hawx Pest Control