Local Service Overview

Get Black Ant Extermination in Tarrant County, TX

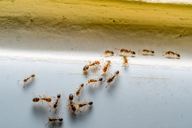
Black Ant Extermination services for Tarrant County property owners address ant infestations, including residential and commercial projects like yard treatments and structural pest control.

Tarrant County, TX

Black ant extermination services are a practical solution for property owners in Tarrant County, TX seeking to maintain a comfortable and safe living environment. These services help prevent ant invasions that can disrupt daily life, damage structures, or contaminate food supplies. By addressing ant problems promptly, property owners can enjoy a more functional space with reduced concerns about pests interfering with their routines, while also minimizing the potential for future infestations that could lead to costly repairs or ongoing maintenance.

Choosing professional ant extermination can also enhance a property's curb appeal and durability. A pest-free exterior contributes to a well-maintained appearance, which is important for both residential and commercial properties. Additionally, effective extermination reduces the likelihood of recurring issues, helping to keep property upkeep manageable and preserving the overall value of the property over time. Local service providers are equipped to deliver tailored solutions that align with the specific needs of properties in the Tarrant County area.

Get Black Ant Extermination Quotes

  • Black ant extermination services are needed when persistent ant colonies invade residential or commercial properties in areas like Tarrant County, TX.
  • Ant control treatments are essential for preventing infestations in homes and businesses during peak ant activity seasons.
  • Professional ant exterminators can help eliminate large or hard-to-reach ant nests in outdoor or indoor spaces.
  • Services are often sought after when ants become a nuisance or threaten food safety in nearby neighborhoods.
  • Expert pest control providers are available to address ant problems in nearby cities and surrounding communities.

Get Black Ant Extermination Quotes

Black Ant Extermination
Black Ant Extermination
Black Ant Extermination

Black ant extermination services focus on identifying and eliminating ant infestations within residential, commercial, and industrial properties. Professionals typically conduct thorough inspections to locate ant colonies and entry points, then apply targeted treatments to eradicate the pests effectively. These services often involve the use of specialized baits, barriers, and insecticides designed to control and prevent future ant activity. The goal is to reduce ant populations while minimizing disruption to the property and its occupants.

Ant problems can cause significant inconveniences and property damage, especially when colonies are established indoors or in structural areas. Black ants, in particular, tend to invade kitchens, pantries, and other areas where food is stored, leading to contamination concerns. Additionally, large infestations can be difficult to manage without professional intervention, as ants tend to establish extensive colonies that can be challenging to locate and treat thoroughly. Extermination services help mitigate these issues by targeting the source of the infestation and implementing ongoing prevention strategies.

Various property types utilize black ant extermination services, including single-family homes, apartment complexes, restaurants, and retail establishments. Residential properties often seek treatment to protect food supplies and maintain hygiene standards. Commercial properties, especially those involved in food service or manufacturing, require regular pest management to meet health and safety regulations. Additionally, warehouses and storage facilities with food products or organic materials may also engage pest control providers to prevent ant infestations from spreading or causing contamination.

Professional black ant extermination services are tailored to the specific needs of each property type and infestation severity. Service providers may offer one-time treatments for isolated problems or ongoing maintenance plans for properties prone to recurring ant activity. By working with local pest control experts, property owners and managers can address ant issues effectively, ensuring a pest-free environment and reducing the risk of future invasions. Contacting local professionals can help determine the best approach for managing black ant populations on a property.

The overview below groups typical Black Ant Extermination projects into broad ranges so you can see how smaller, mid-sized, and larger jobs often compare in Tarrant County, TX.

In many markets, a large share of routine jobs stays in the lower and middle ranges, while only a smaller percentage of projects moves into the highest bands when the work is more complex or site conditions are harder than average.

Initial Inspection and Treatment - The cost for a one-time black ant inspection and treatment typically ranges from $150 to $300. Prices vary depending on the size of the property and extent of infestation.

Ongoing Pest Control Plans - Monthly or quarterly service plans for black ant extermination usually cost between $40 and $70 per visit. These plans often include regular treatments and inspections.

Per-Visit Service - Single-visit black ant extermination services generally fall within the $100 to $250 range, depending on the severity of the problem and property size.

Additional Treatment Services - Extra treatments such as baiting or barrier applications can add $50 to $150 per session. Costs depend on the complexity of the treatment needed for effective control.

Actual totals will depend on details like access to the work area, the scope of the project, and the materials selected, so use these as general starting points rather than exact figures.

Get a Black Ant Extermination Quote

Black Ant Extermination services focus on identifying and eliminating black ant colonies within residential and commercial properties. Local pest control providers use targeted methods to address infestations effectively.

Black Ant Extermination solutions are designed to prevent future invasions by treating entry points and surrounding areas. Experts assess property conditions to develop comprehensive treatment plans.

Black Ant Extermination specialists utilize various techniques, including baiting and chemical treatments, to eradicate black ants and minimize disruption. Service providers tailor approaches to the severity of each infestation.

Black Ant Extermination services often include inspections to locate nests and identify ant activity. Local providers offer ongoing monitoring to ensure long-term control.

Black Ant Extermination providers may recommend preventative measures to reduce the risk of re-infestation. Professionals advise on property maintenance to keep ants from returning.

Black Ant Extermination experts work in various settings, from homes to commercial buildings, addressing black ant issues effectively across different environments. Contacting local service providers can help manage persistent ant problems.

Black Ant Extermination

When selecting a professional for Black Ant Extermination services, it is important to consider their experience in handling ant infestations, particularly with black ants. Homeowners should look for service providers who have a proven track record of effective pest management, including familiarity with local ant species and common infestation patterns in areas like Tarrant County, TX. An experienced contractor can often provide clearer written expectations regarding treatment methods, follow-up procedures, and potential outcomes, helping homeowners understand what to anticipate from the service.

Reputable references are a valuable resource when evaluating local pros for ant extermination. Homeowners are encouraged to seek out reviews or testimonials from past clients to gain insight into the quality of work and professionalism of the service providers. Reliable references can also shed light on the contractor’s ability to communicate effectively, respond to questions, and address concerns throughout the process. Clear and consistent communication from the contractor can contribute to a smoother experience and greater confidence in the chosen pest control provider.

Since the site introduces local options rather than performing the work itself, homeowners should focus on the importance of transparent communication and clearly outlined expectations from the service providers. Reaching out to multiple local pros can help compare their approaches, reputation, and responsiveness. This approach ensures that homeowners can select a pest control professional who aligns with their needs, offers trustworthy service, and maintains open lines of communication throughout the process.

Get a Black Ant Extermination Quote

Property owners in Tarrant County, TX use Black Ant Extermination services for practical projects around their homes and businesses. The sections below highlight everyday jobs and straightforward project options.

Black Ant Extermination
Black Ant Extermination

Black ant infestations can become a common concern for property owners in Tarrant County, TX, especially during warmer months when these insects are most active. Homeowners and business operators might seek extermination services to prevent ants from invading kitchens, storage areas, or outdoor spaces, which can lead to property damage or hygiene issues. Local pest control providers offer targeted solutions to eliminate colonies and help maintain a pest-free environment, making it easier to manage daily activities without the nuisance of persistent ant problems.

In addition to indoor concerns, outdoor ant activity can threaten gardens, lawns, and landscape features. Property owners may look for extermination services to address ant mounds or trails that could disrupt plant health or create safety hazards. Professional pest control services in Tarrant County can assess the extent of an infestation and provide effective treatments to control ant populations, helping to preserve the integrity and appearance of outdoor spaces.

Get a Black Ant Extermination Quote

Why are black ants attracted to my home? Black ants are drawn to food sources, moisture, and shelter around residential properties, which can lead them indoors.

How can I prevent black ant infestations? Keeping food stored securely, sealing entry points, and maintaining cleanliness can help reduce the likelihood of black ant problems.

What methods do pest control professionals use to eliminate black ants? Local service providers typically use targeted baits, barriers, and environmentally safe treatments to control black ant populations.

Are black ants harmful to my home or health? While black ants are generally not dangerous, they can contaminate food and may cause minor structural damage if their nests are extensive.

How do I find local black ant extermination services? Contacting local pest control providers can connect homeowners with experienced professionals for effective black ant management.

Black Ant Extermination Strategies - Local pest control providers can implement targeted removal techniques to eliminate black ant infestations effectively.

Inspection and Identification - Professionals can assess property conditions to identify ant entry points and nesting sites for precise treatment.

Preventive Measures - Service providers may recommend sealing entry points and removing attractants to reduce future ant activity.

Ongoing Monitoring and Maintenance - Regular inspections by local experts can help ensure ant problems do not recur.

Black Ant Extermination

Considering Black Ant Extermination for a property in Tarrant County, TX? The sections above highlight common project types, practical options, and details that often shape the scope of work.

When you are ready, use the quote form to share a few details about your project. Local pros can review the basics and respond with options that match what you have in mind.

Get a Black Ant Extermination Quote

Black Ant Extermination Quotes

Our Trusted Partners
Cantu Pest Control
Orkin
Hawx Pest Control