Local Service Overview

Get Ants Extermination Service in Hutchins, TX

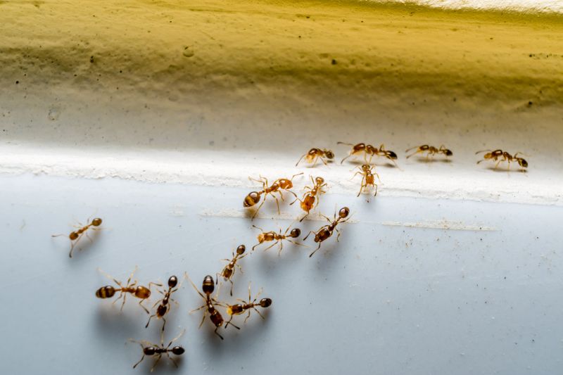
Ants extermination services for property owners in Hutchins, TX, and nearby areas address ant infestations, prevent future invasions, and handle residential and commercial ant control projects.

Hutchins, TX

Ants extermination services are essential for property owners in Hutchins, TX seeking to maintain a safe and comfortable environment. Infestations can lead to increased concerns about hygiene and property damage, making professional removal a practical solution. Effective extermination helps reduce the likelihood of future invasions, supporting the durability of structures and preserving the curb appeal of the property by preventing unsightly trails and damage caused by these persistent pests.

Engaging with local extermination experts offers benefits such as minimized maintenance needs and enhanced safety. Proper pest control ensures that ants do not compromise the functionality of outdoor and indoor spaces, allowing property owners to enjoy their surroundings without worry. Additionally, professional services can contribute to a more inviting appearance for homes and commercial properties, reinforcing overall property value and aesthetic appeal.

Get Ants Extermination Service Quotes

  • Ants Extermination - Necessary when ant colonies invade residential or commercial properties in Hutchins, TX and nearby areas.
  • Ants Extermination - Suitable for eliminating ant infestations that threaten food storage or pantry areas.
  • Ants Extermination - Recommended when ants are present in outdoor spaces and threaten to migrate indoors.
  • Ants Extermination - Needed for addressing persistent ant problems that do not respond to basic treatments.
  • Ants Extermination - Ideal for preventing future ant invasions through perimeter treatments and barrier methods.

Get Ants Extermination Service Quotes

Ants Extermination Service
Ants Extermination Service
Ants Extermination Service

Ants extermination services involve professional treatments designed to eliminate ant colonies and prevent future invasions. Service providers typically assess the extent of an ant problem, identify the species involved, and determine the most effective approach for removal. Treatments may include targeted application of insecticides, baiting systems, or other methods tailored to the specific infestation. The goal is to eradicate existing ants and establish barriers that discourage re-entry, helping to restore a pest-free environment.

Ant infestations can cause various issues for property owners, including damage to structures, contamination of food supplies, and general nuisance. Ants are known to invade kitchens, pantries, and other areas where food is stored, creating unsanitary conditions. In some cases, certain ant species can also cause structural damage or trigger allergic reactions. Professional extermination services address these problems by providing thorough and targeted solutions, reducing the risk of ongoing infestations and associated health concerns.

Properties that commonly utilize ants extermination services include residential homes, apartment complexes, restaurants, and commercial buildings. Homes are often targeted due to the inconvenience and potential health risks posed by ants in living spaces. Commercial properties, especially food establishments, seek pest control to maintain hygiene standards and comply with health regulations. Additionally, property managers and business owners may contact pest control providers to prevent ant problems from impacting operations or tenant satisfaction.

Engaging with local pest control professionals for ants extermination offers a strategic approach to managing infestations effectively. These specialists understand the local ant species and their behaviors, enabling them to implement appropriate treatment plans. Contacting a professional ensures that treatments are applied safely and efficiently, helping property owners maintain a pest-free environment. Whether dealing with a minor nuisance or a significant infestation, local experts can provide tailored solutions to meet specific needs.

The overview below groups typical Ants Extermination Service projects into broad ranges so you can see how smaller, mid-sized, and larger jobs often compare in Hutchins, TX.

In many markets, a large share of routine jobs stays in the lower and middle ranges, while only a smaller percentage of projects moves into the highest bands when the work is more complex or site conditions are harder than average.

Initial Inspection and Treatment Costs - The cost for an initial ant inspection and treatment typically ranges from $150 to $300. This includes identifying the extent of the ant problem and applying targeted treatments. Prices may vary based on the size of the property and severity of infestation.

Per-Visit Service Fees - One-time treatment visits generally cost between $100 and $250. These services focus on eliminating existing ant colonies and may include follow-up visits if necessary. Costs depend on the level of infestation and property size.

Ongoing Maintenance and Prevention - Ongoing ant prevention services can range from $50 to $150 per month. These plans often include regular inspections and treatments to prevent future infestations. The frequency and scope of services influence the overall cost.

Property Size and Treatment Area - Larger properties or extensive treatment areas may incur costs from $200 to $500 or more. Service providers often tailor quotes based on property size and the complexity of ant removal. Exact prices vary by local contractor and specific needs.

Actual totals will depend on details like access to the work area, the scope of the project, and the materials selected, so use these as general starting points rather than exact figures.

Get an Ants Extermination Service Quote

Ants Extermination - Local pest control providers offer targeted solutions to eliminate ant infestations in residential and commercial properties. Their services help prevent future ant problems and protect property integrity.

Ants Prevention - Experts provide advice and treatments to reduce the likelihood of ant invasions, focusing on sealing entry points and removing attractants around homes and businesses.

Ants Inspection - Professionals conduct thorough inspections to identify ant activity and determine the extent of an infestation, enabling effective treatment planning.

Ants Baiting - Baiting services involve placing targeted baits to attract and eliminate ant colonies at their source, reducing the need for widespread chemical applications.

Ants Barrier Treatments - Barrier treatments create a protective zone around structures to deter ants from entering, providing ongoing defense against future invasions.

Ants Removal - Local extermination experts utilize various methods to safely and effectively remove ant colonies from indoor and outdoor spaces.

Ants Extermination Service

When comparing local ant extermination service providers, it is important to consider their experience in handling ant infestations similar to those faced by homeowners in Hutchins, TX. An established provider often brings a depth of knowledge about local ant species and effective treatment methods, which can contribute to more reliable results. Reputable references or reviews from previous clients can offer insight into a contractor’s track record, helping homeowners gauge consistency and quality of service. Clear, written expectations regarding the scope of work, treatment procedures, and follow-up protocols are essential for ensuring transparency and aligning services with homeowner needs.

Effective communication is a key factor when selecting a local pest control professional. Pros who are responsive and willing to provide detailed information about their methods and policies can foster trust and clarity throughout the process. Homeowners should look for providers who are transparent about their approach and willing to address questions or concerns before work begins. Establishing open lines of communication can help ensure that expectations are well-understood and that any adjustments or follow-up services are handled smoothly.

It is also helpful to explore the reputation of local ant extermination service providers through trusted references or reviews from other homeowners in the Hutchins area. While the site introduces various options, it is important to remember that it functions solely as a lead generation resource and does not perform or endorse specific contractors. Homeowners are encouraged to contact multiple local providers to compare their experience, written expectations, and communication style, which can aid in selecting a professional who aligns with their particular needs and preferences.

Get an Ants Extermination Service Quote

Property owners in Hutchins, TX use Ants Extermination Service services for practical projects around their homes and businesses. The sections below highlight everyday jobs and straightforward project options.

Ants Extermination Service
Ants Extermination Service

Ants extermination services are commonly sought after by property owners in Hutchins, TX, who encounter ant invasions in residential or commercial spaces. These pests can appear unexpectedly, often entering through small cracks or gaps, and may become a persistent nuisance if not addressed promptly. Property owners might look for professional assistance to eliminate existing ant colonies and prevent future infestations, especially in areas where food is stored or prepared, or where ant activity is noticeable around foundations and entry points.

In addition to routine infestations, property owners may turn to local pros for ant prevention measures following construction or renovation projects, which can create new entry routes for ants. Seasonal changes or increased humidity levels in Hutchins can also trigger ant activity, prompting residents and business owners to seek expert services to safeguard their properties. Connecting with experienced local providers ensures that appropriate treatment methods are used to manage ant problems effectively.

Get an Ants Extermination Service Quote

How do ant extermination services work? Ant extermination services typically involve identifying ant entry points and nesting areas, then applying targeted treatments to eliminate colonies and prevent future infestations.

Are ant extermination treatments safe for pets and children? Many ant control methods are designed to be safe when used as directed, but it is recommended to discuss safety concerns with local service providers before treatment.

How long does an ant extermination treatment last? The effectiveness duration varies depending on the treatment used and the extent of the infestation; local pros can provide guidance based on specific situations.

Can ant extermination services prevent future infestations? Yes, professional services often include strategies to reduce the likelihood of future ant problems through ongoing prevention measures.

What should I do before an ant extermination service appointment? It is advisable to clear the affected areas and inform the service provider of any specific concerns or known ant activity in the property.

Ants Control Solutions - Local service providers offer targeted treatments to eliminate ant colonies and prevent future infestations.

Inspection and Identification - Professionals assess property entry points and nest locations to develop effective extermination plans.

Barrier Treatments - Experts apply perimeter barriers around structures to deter ants from entering indoor spaces.

Ongoing Monitoring - Service providers offer follow-up inspections to ensure ant activity remains under control.

Ants Extermination Service

Considering Ants Extermination Service for a property in Hutchins, TX? The sections above highlight common project types, practical options, and details that often shape the scope of work.

When you are ready, use the quote form to share a few details about your project. Local pros can review the basics and respond with options that match what you have in mind.

Get an Ants Extermination Service Quote

Ants Extermination Quotes

Our Trusted Partners
Cantu Pest Control
Orkin
Hawx Pest Control