Local Service Overview

Get Ants Extermination Service in North Richland Hills, TX

Ants extermination services for property owners in North Richland Hills, TX, and nearby areas address ant infestations, prevent future invasions, and handle residential and commercial pest control projects.

North Richland Hills, TX

Ants extermination services help property owners in North Richland Hills, TX maintain a comfortable and safe living environment by effectively managing ant infestations. Eliminating these pests reduces the risk of damage to structures and belongings, while also preventing potential health concerns associated with ant colonies. Proper pest control contributes to the overall functionality of a property by minimizing disruptions and preserving the integrity of outdoor and indoor spaces.

Choosing professional ant extermination offers benefits such as enhanced curb appeal and reduced maintenance needs. A pest-free property looks more inviting and well-maintained, which can boost property value and aesthetic appeal. Additionally, targeted treatments help ensure long-lasting results, decreasing the likelihood of future infestations and the need for frequent interventions, supporting the durability and continued enjoyment of the property.

Get Ants Extermination Service Quotes

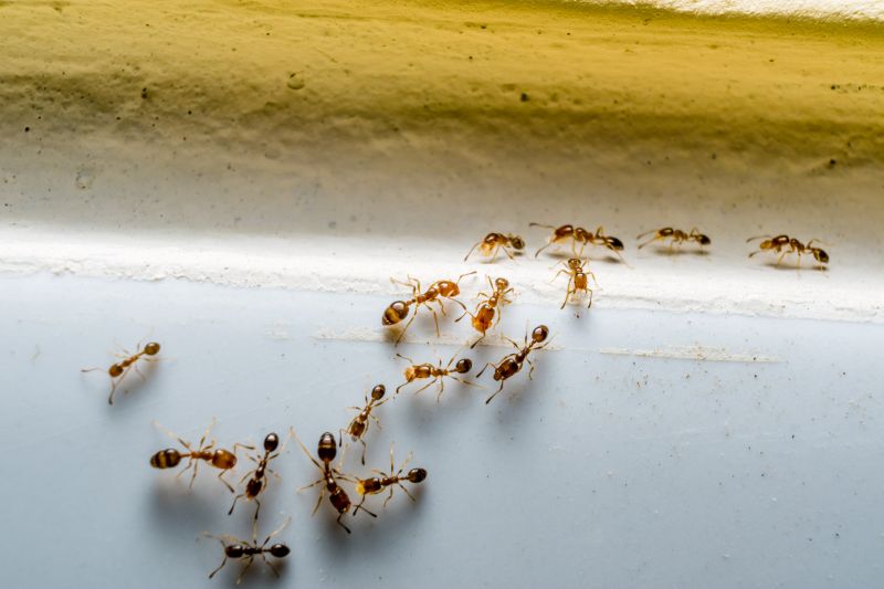
  • Ants Extermination - needed when ants invade kitchens or pantry areas in North Richland Hills, TX and surrounding communities.
  • Ants Extermination - required if ants are seen in outdoor garden beds or near building foundations.
  • Ants Extermination - necessary when ant trails are discovered inside homes or commercial properties.
  • Ants Extermination - essential for preventing ant colonies from spreading in nearby neighborhoods.
  • Ants Extermination - advised if ants are nesting in wall voids or hard-to-reach places within structures.

Get Ants Extermination Service Quotes

Ants Extermination Service
Ants Extermination Service
Ants Extermination Service

Ants extermination services involve professional efforts to identify, eliminate, and prevent ant infestations within residential, commercial, or industrial properties. These services typically include inspection to determine the species and extent of the ant problem, followed by targeted treatment methods such as baiting, dusting, or residual sprays. The goal is to eradicate existing colonies and reduce the likelihood of future invasions, helping property owners regain control over their indoor and outdoor spaces.

Ant infestations can pose various problems, including property damage, contamination of food supplies, and general nuisance. Certain ant species, such as carpenter ants, are known to cause structural damage by excavating wood to build their nests. Others, like fire ants, can pose health risks due to their painful stings and aggressive behavior. Extermination services are designed to address these issues by effectively removing colonies and implementing preventative measures to minimize the risk of recurrence.

These services are commonly utilized by a range of property types, including single-family homes, apartment complexes, restaurants, and retail stores. Residential properties often seek ant extermination to protect their food supplies and maintain a comfortable living environment. Commercial properties, especially those involved in food service or retail, may require ongoing pest management plans to ensure compliance with health standards and prevent disruptions caused by ant invasions.

Professional ant extermination providers typically tailor their services to the specific needs of each property, considering factors such as the severity of the infestation and the location. They may employ various treatment techniques and offer advice on sanitation practices to help prevent future problems. Contacting local pest control specialists can provide the expertise needed to manage ant issues effectively and restore a pest-free environment.

The overview below groups typical Ants Extermination Service projects into broad ranges so you can see how smaller, mid-sized, and larger jobs often compare in North Richland Hills, TX.

In many markets, a large share of routine jobs stays in the lower and middle ranges, while only a smaller percentage of projects moves into the highest bands when the work is more complex or site conditions are harder than average.

Initial Inspection Costs - Ant extermination inspections typically range from $50 to $150. This fee covers a thorough assessment of the property to identify ant activity and entry points.

One-Time Treatment Expenses - A single ant extermination treatment can cost between $100 and $300. The price varies based on the size of the area and the severity of the infestation.

Ongoing Pest Management - Monthly pest control plans for ants generally range from $40 to $70 per visit. These plans include regular treatments to prevent future ant problems.

Large Property Extermination - For extensive properties or severe infestations, costs can range from $300 to $600. Service providers may recommend multiple treatments for complete eradication.

Actual totals will depend on details like access to the work area, the scope of the project, and the materials selected, so use these as general starting points rather than exact figures.

Get an Ants Extermination Service Quote

Ants Extermination services involve professionals who specialize in identifying and eliminating ant colonies within residential and commercial properties. These experts use targeted methods to effectively control ant infestations and prevent future issues.

Residential Ants Control providers focus on treating homes and surrounding areas to remove ant nests and reduce the likelihood of recurring infestations. They tailor solutions to suit specific household needs and ant species.

Commercial Ants Extermination services are available for businesses seeking to maintain pest-free environments, including offices, restaurants, and warehouses. Local pros implement strategies that minimize disruption to daily operations.

Eco-Friendly Ants Removal options are offered by providers who utilize environmentally conscious techniques to manage ant problems without harmful chemicals. These services are suitable for clients seeking sustainable pest control solutions.

Emergency Ants Treatment services are accessible for urgent infestations requiring immediate attention to prevent further spread or damage. Local pest control experts respond promptly to address critical situations.

Preventative Ants Management services help property owners implement ongoing strategies to deter ant invasions and maintain a pest-free environment over time. Professionals provide advice and treatments to support long-term prevention.

Ants Extermination Service

When comparing local professionals for ant extermination services, it’s important to consider their experience in handling ant infestations specific to the North Richland Hills, TX area. Experienced service providers are familiar with common ant species, effective treatment methods, and local conditions that may influence the success of extermination efforts. A contractor’s background in managing similar cases can offer insights into their knowledge and ability to address unique challenges effectively.

Clear communication and well-defined expectations are vital when selecting a local contractor for ant control. Reputable providers typically outline their treatment approaches, what homeowners can expect during and after the service, and any necessary follow-up procedures. Understanding these details upfront helps ensure transparency and aligns the homeowner’s needs with the contractor’s offerings, reducing potential misunderstandings.

Reputable references and reviews from previous clients can provide valuable insights into a contractor’s reliability and quality of work. Homeowners are encouraged to seek out local recommendations or testimonials to gauge a service provider’s reputation within the community. Additionally, establishing open lines of communication with potential pros allows homeowners to ask questions, clarify procedures, and confirm that the contractor’s approach aligns with their expectations for effective ant extermination services.

Get an Ants Extermination Service Quote

Property owners in North Richland Hills, TX use Ants Extermination Service services for practical projects around their homes and businesses. The sections below highlight everyday jobs and straightforward project options.

Ants Extermination Service
Ants Extermination Service

Ants extermination services are commonly sought after by property owners in North Richland Hills, TX, who notice persistent ant activity around their homes or businesses. Common situations include spotting ant trails in kitchens, bathrooms, or outdoor areas, which can indicate an ongoing infestation. Property owners may also seek professional help when ants become a recurring nuisance despite previous attempts at DIY removal or when they observe signs of ant nests near the foundation or landscaping.

In addition, residents and business owners might look for ant extermination services to prevent potential damage or contamination. Ants can invade food storage areas or contaminate surfaces, leading to hygiene concerns. During warmer months, increased ant activity is typical, prompting many to contact local service providers to address infestations promptly and effectively, helping to maintain a clean and pest-free environment.

Get an Ants Extermination Service Quote

How do ant extermination services work? Ant extermination services typically involve inspecting the property to identify ant colonies, applying targeted treatments to eliminate ants, and advising on prevention methods to reduce future infestations.

Are ant extermination treatments safe for pets and children? Many professional ant treatments are designed to be safe when applied properly; however, it is recommended to discuss safety concerns with the local service provider before treatment.

How long does an ant extermination treatment last? The duration of effectiveness varies depending on the treatment method and the extent of the infestation, with many treatments providing several months of protection.

Will I need multiple treatments to eliminate ants? Some ant infestations may require more than one treatment to fully eradicate the colony, especially if the infestation is widespread or persistent.

How can I prevent future ant problems? Local pros can provide advice on sealing entry points, maintaining cleanliness, and removing attractants to help prevent future ant issues.

Ants Extermination Solutions - Local service providers offer targeted treatments to eliminate ant infestations and prevent future issues.

Inspection and Identification - Pros can assess property conditions to identify ant entry points and nesting areas for effective removal strategies.

Preventative Measures - Experts recommend sealing cracks and removing attractants to reduce the likelihood of ant re-infestation.

Ongoing Monitoring - Regular inspections by local specialists help maintain ant-free environments and address new activity promptly.

Ants Extermination Service

Considering Ants Extermination Service for a property in North Richland Hills, TX? The sections above highlight common project types, practical options, and details that often shape the scope of work.

When you are ready, use the quote form to share a few details about your project. Local pros can review the basics and respond with options that match what you have in mind.

Get an Ants Extermination Service Quote

Ants Extermination Quotes

Our Trusted Partners
Cantu Pest Control
Orkin
Hawx Pest Control